Description
Zara Plots Gurugram/Gurgaon Sohna Sector 12. Zara Group Going To Launch New DDJAY Plotted Project In Sector 12 Sohna, South Of Gurgaon, District Mewat Haryana Under Deen Dayal Jan Awas Yojna.
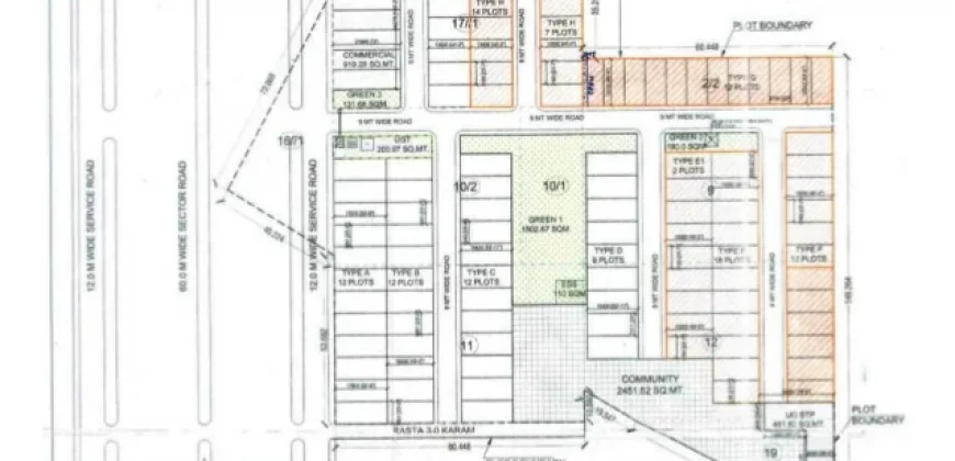
Projects Licence Details – Zara Plots DDJAY Plots
- Developer Name- Zara Group – Tedre Realcon India Private Limited
- Project Name – Zara Flora
- Project Area – 5.9625 (Acre)
- License File – License 88 Of 2019 Dated – 02/08/2019
- Total Plots – 110 Plots.
- 53 Plots Are Available For Sale And 57 Plots Are Freeze As Per Rera Guidelines.
- Rera Approval – 269 Of 2021 Dated – 20/10/2021
- Plots Size – 120* Sqyd To 150* Sqyd
- Likely Date Of Starting The Construction Work – 01/01/2022
- Likely Date Of Completing The Project – 31/12/2023
- For Price Details- Please Call Us
BENEFITS UNDER Zara Plots Gurugram/Gurgaon
- Gated Society Complex
- Basement, Stilt + 4 Structure Allowed
- Separate Floor Registry
- FAR: 2.64
- 80% Home Loans On Plots
- Possession Link Plan
- Bank Loan Available On Construction
- Park, Market, Play School, Club House, Community Center Inside The Society.
- Minimum 09 Meter Road
Address
-
Country India
-
City/Town Gurgaon
